Melissa, el huracán sin precedentes que devastó Jamaica y expone la vulnerabilidad climática del Caribe



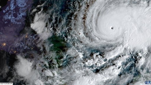
Considerado el huracán más poderoso en golpear Jamaica en 174 años, Melissa tocó tierra con vientos sostenidos de hasta 280 km/h, provocando una emergencia nacional.
El primer ministro, Andrew Holness, calificó la situación como un desastre sin precedentes, afirmando que ninguna infraestructura en la región podría resistir un fenómeno de tal magnitud. El lento desplazamiento de la tormenta intensificó su impacto, causando lluvias torrenciales, inundaciones masivas y deslizamientos de tierra que dejaron comunidades enteras incomunicadas y sin servicios básicos.
El paso del huracán ha dejado un panorama desolador en la isla, superando en destrucción al huracán Gilbert de 1988. Las autoridades reportan al menos 17 víctimas mortales confirmadas en Jamaica, mientras que informes previos señalaban al menos siete fallecidos en la región, incluyendo Haití y República Dominicana.
Más del 80 % del sistema eléctrico nacional colapsó y los daños en viviendas, agricultura e infraestructura son incalculables.
Los servicios de emergencia trabajan a su máxima capacidad, pero las labores de rescate se ven obstaculizadas por carreteras bloqueadas y puentes caídos.
Jamaica ha solicitado ayuda internacional inmediata, mientras organismos como la Cruz Roja coordinan la entrega de suministros para miles de desplazados. Científicos del Centro Nacional de Huracanes de Estados Unidos han señalado que la rápida intensificación de Melissa, que pasó de tormenta tropical a categoría 5 en pocos días, es un claro ejemplo del impacto del cambio climático.
Las temperaturas oceánicas, superiores a los 30 grados Celsius, actuaron como combustible para el sistema.
Expertos advierten que este tipo de fenómenos meteorológicos extremos podrían volverse más frecuentes y potentes en el Caribe, una región especialmente vulnerable por factores como la deforestación y la falta de infraestructura adecuada. La catástrofe ha puesto en alerta máxima a todo el Caribe.
Cuba evacuó a más de 600.000 personas ante la inminente llegada del huracán a su costa oriental.
Haití y República Dominicana también sufrieron graves inundaciones.
Las Bahamas y las Islas Turcas y Caicos se mantienen bajo advertencia.
El desastre ha reavivado el debate sobre la necesidad urgente de que la región fortalezca sus sistemas de alerta temprana y sus infraestructuras para adaptarse a una nueva y más peligrosa realidad climática.
Artículos
58Internacional
Ver más
El Departamento de Transporte señaló que el incumplimiento continuado de México "puede afectar a los planes de viaje de los ciudadanos estadounidenses

El director de Nvidia elogió el compromiso de Trump con la victoria, pero instó a una interacción cautelosa con China

Agencias de la ONU alertan sobre las graves consecuencias de los recortes en la financiación por parte de países como EE.UU. y señalan que ya no hay alimentos suficientes para entregar en los campamentos de refugiados. Las porciones de alimento y medicamentos es menor y familias desplazadas deben servir menos para alcanzar las tres comidas diarias. Unicef alerta que en Cox's Bazar (Bangladesh), el campo de refugiados más grande del mundo, un 11% de los niños sufre desnutrición aguda.

Rick Scott, senador estadounidense, le dijo a Nicolás Maduro que "sus días están contados" | Aumentan tensiones entre Estados Unidos Y Venezuela






